Projekti

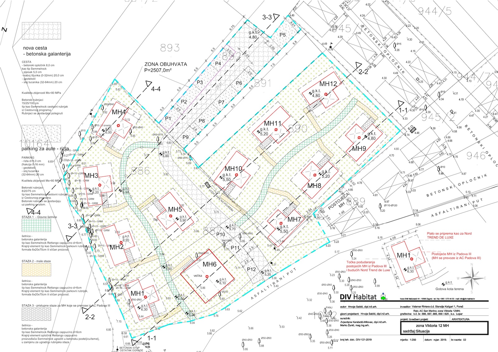
Zona mobilnih kućica Victoria - Autokamp San Marino

Lopar, Hrvatska 2019. Izgradnja novog objekta

Godina: 2019.

Faza: Realizirano

Lokacija: Lopar

Opis zahvata: Izgradnja novog objekta

Kvadratura: 3.600 m²

Scroll